1. Home
  2. Annunci immobiliari
  3. Vendita
  4. Terreno Edificabile per realizzazione di una villa indipendente

Scheda Immobile
Terreno Edificabile per realizzazione di una villa indipendente

Agenzia di riferimento:
Agenzia Asti Nord Ovest | Abita Real Estate S.r.l.

0141212180

+393938263433

ag.asti-nordovest@abytare.com

Terreno Edificabile per realizzazione di una villa indipendente

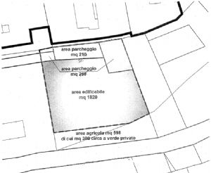
?? TERRENO EDIFICABILE RESIDENZIALE – SETTIME (AT) Proponiamo in vendita terreno edificabile residenziale composto da2 particelle, per una superficie catastale complessiva di mq 2.897 (vigneto). L’area risulta inserita in zona residenziale edificabile da PRG – Variante Strutturale n.2 – Area edificabile 9, in contesto urbanizzato, adiacente ai principali servizi e in posizione residenziale di pregio. Il lotto si presta alla realizzazione di villa unifamiliare con ampia area esterna privata. ?? DATI URBANISTICI PRINCIPALI Superficie territoriale: mq 2.314 Viabilità pubblica: mq 493 Superficie fondiaria edificabile: mq 1.821 Indice territoriale: 0,40 mc/mq Indice fondiario: 0,51 mc/mq Volume edificabile nuovo impianto: mc 923 Vani realizzabili indicativi: 10 Abitanti insediabili: 10 ?? MODALITÀ ATTUATIVA Intervento mediante Piano Esecutivo Convenzionato Aree per servizi ex art.21 L.R. 56/77: da cedere gratuitamente: mq 256 superfici da scomputare: mq 237 ?? COMPOSIZIONE CATASTALE Particella *x*: vigneto mq 2.687 Particella *xx*: vigneto mq 210 ?? VALORE TECNICO DI RIFERIMENTO Dalle valutazioni tecniche urbanistiche disponibili: valore unitario area edificabile: € 10,50/mq valore area edificabile stimata: € 19.120,50 ? PREZZO DI VENDITA Nonostante le valutazioni tecniche effettuate da professionisti sulla base dei dati urbanistici comunali, la proprietà ha deciso di proporre l’immobile con richiesta volutamente contenuta, al fine di favorire una vendita rapida. Ottima opportunità per: ? impresa costruttrice ? privato per villa indipendente ? investimento residenziale

INFORMAZIONI PRINCIPALI

Si trova a: Settime, provincia di Asti (Piemonte)
strada della Stazione
Prezzo: 18.000,00€
Prezzo spese: 0,00€
Anno: 0

Tipologia: Terreno Edificabile in Vendita
Metratura: 2897 mq

Codice: V000963

  

Stampa scheda


SCHEDA TECNICA

Vani:
0,1
Classe:
NC
Classe Coefficiente:
0
Classe UM:
Richiedi informazioni
Autorizzo al trattamento dei dati (privacy)
Autorizzo ricezione newsletter
Abytare consulenza immobiliare Torino
Abytare srl

- Sede Legale: Via Alfonso Lamarmora 31 - 10128 TORINO
- Sede Operativa: Corso Agnelli, 98A - 10137 TORINO
P.I. 10934620013 - N. REA TORINO 1173945 | Privacy | Cookies Settings
SEGUICI SU

© 2026 designed by © Creative Studio