1. Home
  2. Annunci immobiliari
  3. Vendita
  4. Terreno industriale di 4000 mq con magazzino.

Scheda Immobile
Terreno industriale di 4000 mq con magazzino.Terreno industriale di 4000 mq con magazzino.Terreno industriale di 4000 mq con magazzino.Terreno industriale di 4000 mq con magazzino.Terreno industriale di 4000 mq con magazzino.Terreno industriale di 4000 mq con magazzino.Terreno industriale di 4000 mq con magazzino.Terreno industriale di 4000 mq con magazzino.Terreno industriale di 4000 mq con magazzino.Terreno industriale di 4000 mq con magazzino.

Agenzia di riferimento:
Agenzia Carignano | Immobiliare Fenice S.n.c.

0114056069

+393331824695

carignano@abytare.com

Terreno industriale di 4000 mq con magazzino.

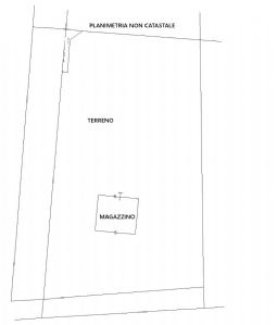
A Carignano, in Stradale Saluzzo 97, proponiamo terreno industriale di circa 4.000 mq situato in posizione strategica ad alto passaggio, con eccellente visibilità su strada, ideale per aziende che desiderano una sede facilmente individuabile e ben collegata. La proprietà è inserita in zona industriale e dispone già di un magazzino esistente di circa 56 mq, caratterizzato da ottime rifiniture che lo rendono particolarmente adatto alla realizzazione di uno showroom o spazio espositivo, oltre che come deposito o base operativa. Il terreno offre inoltre interessanti possibilità di sviluppo, con la possibilità di realizzare un capannone industriale fino a circa 2000 mq, rendendolo una soluzione ideale per attività produttive, artigianali, logistiche o commerciali con necessità di ampio spazio esterno. L’ampia metratura del lotto consente una comoda organizzazione degli spazi per movimentazione mezzi, stoccaggio materiali, parcheggi o area operativa, mantenendo al tempo stesso una forte visibilità commerciale. Caratteristiche principali Terreno industriale di circa 4.000 mq Magazzino esistente di 56 mq con ottime rifiniture, ideale come showroom o spazio espositivo Possibilità di costruzione capannone fino a 2000 mq Posizione strategica su strada di forte passaggio Ottima visibilità Inserito in zona industriale Una soluzione interessante sia per aziende che cercano visibilità e spazio operativo, sia per investitori alla ricerca di un’area con potenziale di sviluppo. Se questa soluzione fa al caso tuo, siamo sempre a disposizione sui nostri social Facebook e Instagram chiamaci 333.1824695 mail carignano@abytare.com

INFORMAZIONI PRINCIPALI

Si trova a: Carignano, provincia di Torino (Piemonte)
Stradale Saluzzo 97
Prezzo: 198.000,00€
Anno: 2019

Tipologia: Appartamento in Vendita
Metratura: 4000 mq

Codice: Strada Saluzzo 97

  

Stampa scheda


SCHEDA TECNICA

Classe:
D
Classe Coefficiente:
D
Classe UM:
Richiedi informazioni
Autorizzo al trattamento dei dati (privacy)
Autorizzo ricezione newsletter
Abytare consulenza immobiliare Torino
Abytare srl

- Sede Legale: Via Alfonso Lamarmora 31 - 10128 TORINO
- Sede Operativa: Corso Agnelli, 98A - 10137 TORINO
P.I. 10934620013 - N. REA TORINO 1173945 | Privacy | Cookies Settings
SEGUICI SU

© 2026 designed by © Creative Studio